Another day in Anilao – the sky is cloudy and it looks like it’s going to rain. In the morning, we headed out to Ligpo Island. The dive center is on the north of the peninsula so it’s only a short ride to the pinnacle. The site is famous for it’s giant sea fan and colossal gorgonian. Before we enter the water, of course I have no idea of what to expect. When I see the sea fan, I am amazed by how huge it is. Remarkably, with such a big size, they can survive the strong current and possibly many kicks of the inexperienced divers.



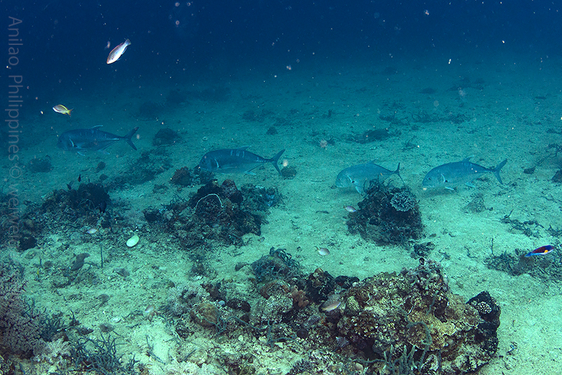
Another highlight of this site is giant trevally. At the beginning, I was not pay much attention to look for the fish, until Carlo signaled me that something was around. I looked down and at the bottom of the pinnacle, a small group of trevally was circling. I approached carefully and the fish didn’t seem to be bothered. At one point, they came pretty close. With my wide-angle, they looked much smaller than their actual size.



But what really amazed me is the coral reef at Ligpo. Before I came to Anilao, all I knew about Anilao was tiny creatures, muck dives, and macrophotography. The coral reef and the beautiful underwater scenery was a surprise. Some of the reefs are simply breath-taking.















We spent two dives at Ligpo and headed back to the center for lunch. In the afternoon, I went with Carlo to Madu. This is a site specifically for macro. There is no specific structures – some boulders, a concrete wall, and a big sandy slope. It’s all for muck dive.
One cool encounter here was garden eels – something completely out of my expectation. They were on the sandy slope. Normally garden eels are shy. But those at Madu are not too shy. I was able to get pretty close before they treated into the holes. The water was shallow and the visibility pretty good. I could get a few overview even with my macro lens.



Then Carlo signaled me to this really cool spiny devilfish.



Carlo likes shrimps! We saw a lot of shrimps on fire urchins and corals. This is a bubble coral shrimp on a coral. I saw those on pictures before so it’s cool to see a real one.



Check out other pictures at Madu, especially those nudibranch pictures. Very cool dive.




We spent one dive at Madu and headed back to the dive center. Before dinner, Carlo and I headed to the house reef for a night dive. It turned out to be another epic dive. The site has a big slope covered with pebbles. At night, there were lots of urchins, scorpion fish, and lion fish. It was a bit scary with all the venomous fish around at night. Carlo took my small camera and went ahead for his own dive. I was behind and saw this beautiful leaf scorpion fish.



And by this time, I have learned how to find shrimps. Here is one I found on a coral.



On my way back, I also came across this pair of magnificent Chromodoris annae.



Here are the other critters from this night dive.









What a great day of diving with so many different critters.
